Продаж Комплексу 6500м², 2.3Га -15 хвилин від Києва. (№ 24-101-237)
Ціна: 2 200 000 $

Адреса: Глеваха, Васильківський, Київська
Характеристики
| Ціна: | 2 200 000 $ |
|---|---|
| № об'єкта: | 24-101-237 |
| Поверх: | 4 / 4 |
| Площа: | 6480,5 м2 |
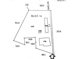
| Ділянка: | 230 сот |
| Код Об'єкту в DB: | 924090-4 |
| Тип нерухомості: | 5. ЦМК + Змішане призначення |
| Джерело Інформації: | 1. Ринковий продаж |
| Право на Землю: | Власність |
Опис
Майданчик для логістики/виробництва за 15 хвилин від Києва в південно-західному напрямку.
Комерційна платформа з виробничим і торговим потенціалом:
== Окремий виробничо-логістичний комплекс;
== Два виробничі корпуси з рампами та плануванням типу «open space» – загальною площею 6500 м²;
== Будівлі каркасного типу з залізобетонними перекриттями;
== Площа ділянки – 2,3 Га, з яких 60–65% вільні для девелопменту;
== Електропостачання – 480 кВт, водопостачання та каналізація – міські;
== Промислова зона відповідно до Генерального плану;
== Бетонна огорожа, два в’їзди;
== Три заїзди з різних боків;
== Дуже зручне розташування для транспорту та персоналу.
ВАЖЛИВО: відсутність юридичних проблем / нерухомість у власності / низька ціна.
CRE-Брокер 'БізнесМіст' має ексклюзивні права на продаж Об’єкту.
За деталями звертайтесь за телефоном: +380503301802 Мішустін Костянтин



















